土地 八尾市西山本町6丁目
所在地
八尾市西山本町6丁目
3,480万円
54.49坪
・近鉄大阪線「河内山本」駅まで徒歩9分
・セブン銀行ATMまで徒歩2分(120m)
・関西スーパー旭ヶ丘店まで徒歩8分(600m)
・ドラッグセガミ 旭ヶ丘店まで徒歩8分(550m)
・医療法人徳洲会 八尾徳洲会総合病院まで徒歩19分(1400m)
・八尾緑ヶ丘郵便局まで徒歩10分(700m)
物件概要
- 交通
-
近鉄大阪線 河内山本駅 まで 徒歩9分
- 接道状況
-
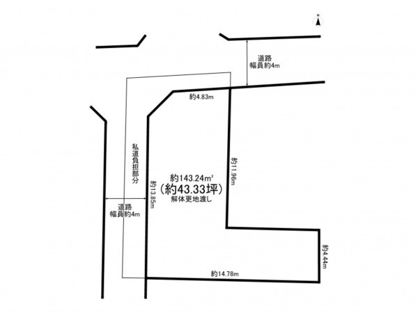
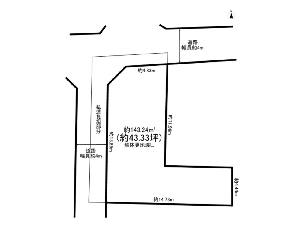
北側4m 間口約4.8m
西側4m 間口約13.9m - 土地面積
- 180.15㎡ (54.49坪)
- 建ぺい率
- 60%
- 容積率
- 200%
- 土地権利
- 所有権
- セットバック
- 無し
- 小学校区
- 西山本 ( 290m )
- 中学校区
- 東 ( 1400m )
- 私道負担
- 建築条件
- ー
- 地目
- 現況
- 上物有
- 引渡時期
- 相談
- 上水道
- 下水道
- ガス
- 都市ガス
- 都市計画
- 市街化区域
- 用途地域
- 1種中高
- 設備・条件
- 備考
- セットバック:済・私道負担:あり36.91平米・西山本小学校まで徒歩約4分・東中学校まで徒歩約19分。有効敷地面積約43.33坪の解体更地渡し。近鉄「山本」駅まで、徒歩9分の利便性。 / 条件等:更地渡し
- 取引態様
- 仲介



